Bạn đang xem tin đăng "Bán kho, nhà xưởng tại Phường Phú Tân, Thành phố Thủ Dầu Một, Bình Dương giá 161 tỷ", có mã số #32201, được đăng . Thông tin rao vặt là do người đăng tin đăng tải toàn bộ thông tin. Chúng tôi hoàn toàn không chịu trách nhiệm về bất cứ thông tin nào liên quan đến các thông tin này. Hãy thông báo cho chúng tôi nếu tin này không hợp lệ.
Phản ánh / Báo xấu
Bán kho, nhà xưởng tại Phường Phú Tân, Thành phố Thủ Dầu Một, Bình Dương giá 161 tỷ
Phường Phú Tân, Thành phố Thủ Dầu Một, Bình Dương
Tin này đã hết hạn nhưng có thể vẫn còn giá trị giao dịch hoặc tham khảo.
Hãy sử dụng công cụ tìm kiếm để tìm những tin đăng mới nhất.
Thông tin mô tả
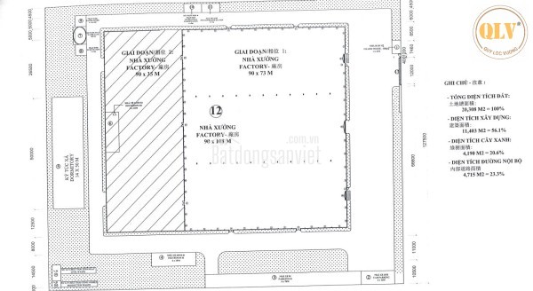
BÁN NHÀ XƯỞNG – KCN SÓNG THẦN 3, BD – 11.345m²
Thông tin chi tiết
Vị trí: Khu Công Nghiệp Sóng Thần 3, Tỉnh Bình Dương
Tổng diện tích khuôn viên: 20.000m²
Tổng diện tích xây dựng: 11.345m², bao gồm:
Nhà xưởng 1: 5.616m²
Nhà xưởng 2 + Văn phòng: 5.616m²
Các công trình phụ trợ khác
Trạm điện: 1.500 KVA
Tiện ích & hạ tầng
Nhà xưởng đã hoàn công, kết cấu kiên cố, thiết kế hiện đại
Hệ thống điện, nước, PCCC đạt tiêu chuẩn khu công nghiệp
Đường nội bộ rộng rãi, xe container ra vào thuận tiện
Nằm trong KCN Sóng Thần 3 – hạ tầng hoàn thiện, vị trí chiến lược kết nối TP.HCM và các khu công nghiệp lớn
Phù hợp cho nhiều loại hình: sản xuất, kho bãi, logistics hoặc đầu tư cho thuê
Để biết thêm thông tin chi tiết vui lòng liên hệ:
CÔNG TY TNHH MTV QUÝ LỘC VƯỢNG
Hotline: 0931 769 444
Thông tin chi tiết
Vị trí: Khu Công Nghiệp Sóng Thần 3, Tỉnh Bình Dương
Tổng diện tích khuôn viên: 20.000m²
Tổng diện tích xây dựng: 11.345m², bao gồm:
Nhà xưởng 1: 5.616m²
Nhà xưởng 2 + Văn phòng: 5.616m²
Các công trình phụ trợ khác
Trạm điện: 1.500 KVA
Tiện ích & hạ tầng
Nhà xưởng đã hoàn công, kết cấu kiên cố, thiết kế hiện đại
Hệ thống điện, nước, PCCC đạt tiêu chuẩn khu công nghiệp
Đường nội bộ rộng rãi, xe container ra vào thuận tiện
Nằm trong KCN Sóng Thần 3 – hạ tầng hoàn thiện, vị trí chiến lược kết nối TP.HCM và các khu công nghiệp lớn
Phù hợp cho nhiều loại hình: sản xuất, kho bãi, logistics hoặc đầu tư cho thuê
Để biết thêm thông tin chi tiết vui lòng liên hệ:
CÔNG TY TNHH MTV QUÝ LỘC VƯỢNG
Hotline: 0931 769 444
Đặc điểm bất động sản
Danh mục: Bán kho, nhà xưởng
Giá
161 tỷ
Xem trên bản đồ
Tìm kiếm theo từ khóa
Bán kho, nhà xưởng tại Phường Phú Tân, Thành phố Thủ Dầu Một, Bình Dương giá 161 tỷ
Bán kho, nhà xưởng tại Phường Phú Tân, Thành phố Thủ Dầu Một, Bình Dương giá 161 tỷ;
Bình chọn: 4.9 (80%) 289 votes
Ngày cập nhật02-02-2026
Ngày hết hạn09-02-2026
Loại tin đăngTin thường
Mã tin đăng32201
Có thể bạn quan tâm:
Tính lãi suất vay
| Giá nhà đất |
VNĐ
|
| Số tiền vay |
%
|
| Thời gian vay |
năm
|
| Lãi suất |
%/năm
|
| Phương thức tính |
Trả trước
-
Tiền vay
-
Lãi cần trả
-
Tiền gốc
-
Tiền lãi
-
Bảng tính chỉ có giá trị tham khảo. Vui lòng liên hệ tư vấn trực tiếp để nhận được thông tin chính xác nhất.
136 triệu
·1,453 m²
30-01-2026
182 tỷ
29-01-2026
2 tỷ 750 triệu
·120 m²
25-01-2026
7 triệu
·70 m²
24-01-2026
7 triệu
·70 m²
24-01-2026